Hurricane Melissa and the Mountains of Memory

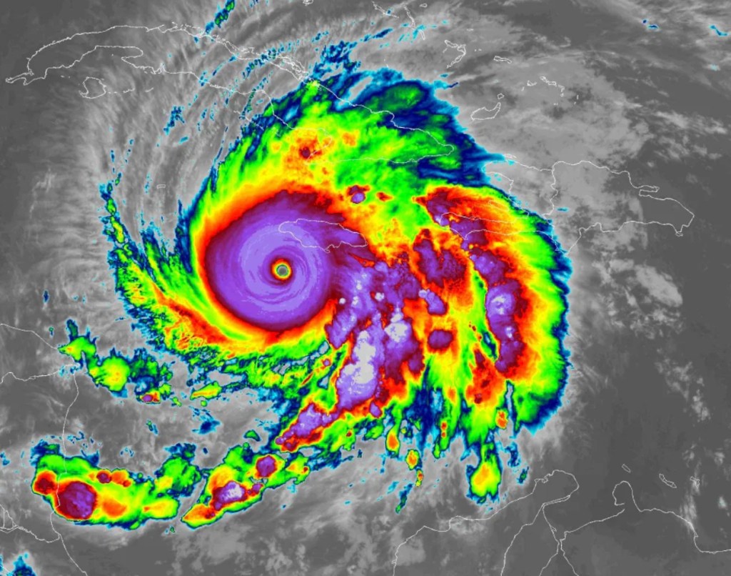
In another lifetime, I might have become a meteorologist. The science of storms—their rhythm, fury, and eerie precision—has always fascinated me. But the math? That was enough to push me toward the humanities. Still, when Hurricane Melissa roared toward Jamaica with sustained winds of 185 mph and a pressure of 892 millibars, I found myself drawn back into a vortex of curiosity and awe.

Those numbers are more than just statistics. A pressure of 892 mb places Melissa among the most intense hurricanes ever recorded in the Atlantic basin. For comparison, Hurricane Katrina reached a minimum pressure of 902 mb. The lower the pressure, the stronger the storm—because it indicates the atmosphere is collapsing inward with terrifying force, fueling the cyclone like a vacuum engine. Melissa wasn’t just strong; she was historic.

Jamaica, with its lush mountains and coastal beauty, stood directly in her path. I’ve never been there, but the images I’ve seen—turquoise waters, green ridges, vibrant towns—make it hard to imagine the aftermath. And yet, I can’t stop wondering: what happened at elevation? The Blue Mountains rise over 7,000 feet, and wind speeds at that height can be significantly higher than at sea level. Could gusts have reached 200 mph or more? The physics say yes. The devastation, especially in exposed highland communities, must be staggering.

Storms like Melissa remind me of another hurricane that left its mark—not on the landscape, but on my memory. In 1999, I was a college student at Georgia Southern University in Statesboro. Hurricane Floyd was rushing toward the Southeast, and for a while, it looked like coastal Georgia might take a direct hit. The evacuation was huge—one of the largest the region had ever seen. A drive to Atlanta that usually took four hours stretched into ten or more. My roommate and I stayed behind, watching the skies and listening to updates, caught between youthful bravado and quiet unease.

Floyd eventually veered north, sparing Georgia but hammering the Outer Banks of North Carolina. Still, the experience stayed with me. It taught me that hurricanes aren’t just weather events — they’re emotional ones. They stir fear, force decisions, and leave behind stories that shape how we see the world.

Melissa will share stories too. Some will be told in data—wind speeds, rainfall totals, damage estimates. Others will be told in voices—of families rebuilding, communities rallying, landscapes forever changed. And somewhere in the mix, I’ll be watching, wondering, and writing. Because even if I never became a meteorologist, the weather still finds its way into my heart.

Hurricane Melissa—shortly before landfall in Jamaica.
Photo provided by NOAA.

Leave a comment